Про це повідомив доктор історичних наук, професор Інституту імені Ушинського Андрій Красножон.
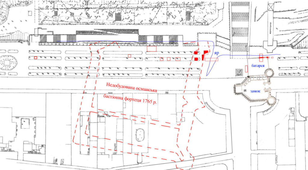
Археологічна експедиція на Приморському бульварі в Одесі завершена. Надзвичайно вдалий за результативністю сезон. Нейміворіно круті студенти-історики та колеги з Університет Ушинського м. Одеса та Інституту археології, з якими я мав честь та задоволення працювати на розкопах пліч-о-пліч ці три повних тижня , – написав він на своїй фейсбук-сторінці.- Хаджибейський замок знайдено. Поставлено крапку в дискусіях щодо його локалізації, які тривали майже 200 років.

Труднощі пошуку посилювалися відсутністю достовірних даних картографії та письмових джерел, а також слідів цієї оборонної споруди, яку підірвали російські війська невдовзі після штурму 1789 р., а згодом розібрали на будматеріали. До останнього не було відомо чи є взагалі шанси знайти залишки замку, оскільки споруда стояла на самому краю берегового плато, де сторіччями відбувалися зсувні процеси.
В 2020 році за підсумками нашої першої експедиції, стало зрозуміло, що пошук замку треба звузити до території напівциркульної площі. Тому влітку 2021 р. там розбили три розкопи, на північ від пам’ятника Дюка і ще кілька шурфів по алеях. Нинішнього року роботи продовжилися на схід від старих ділянок та принесли довгоочікуваний результат.

Отже, замок розташовувався між напівкруглим будинком № 8, фунікулером, Дюком та алеями південної частини бульвару, займаючи квадрат приблизно 40×40 м. В двох розкопах та двох шурфах ми знайшли фронтальну стіну артилерійської берегової батареї, що була добудована до замку з берега, а також сліди демонтажу куртин, – пише Красножон.
Вдалося зафіксувати кутовий перетин цієї стіни з бічною, що прикривала батарею з південного сходу. Споруда присутня на різних планах і зображеннях замку кінця XVIII ст. Її відрізняє притаманні лише їй конструктивні особливості та специфіка розміщення біля урвища. Атрибуції сприяють супутні знахідки кераміки та бронзових виробів османського походження.
Своєю основою стіна замкової батареї впущена в античний шар V ст. до н. Це вперше, коли вдалося простежити культурні нашарування давньогрецького поселення Гавань Істріан у межах його північного кордону.

Час заснування самого замку ще доведеться з’ясувати. Локалізувавши його та прив’язавши плани до місцевості, позначити зону пошуку його основних, капітальних будівель тепер вже не так складно. Якусь інтригу в цих пошуках задає кераміка та нумізматика XIV ст., знахідки якої тепер вже є нормою в розкопках на Приморському бульварі
Археологічні артефакти XIV ст., як відомо, маркують зовсім інший історичний період – пов’язаний з італійською факторією Джинестра. І немає нічого дивного в такому насиченому та стародавньому історичному контексті, в якому опинилася сучасна Одеса (для когось несподівано), як місто, що існує у вкрай вигідних для морської торгівлі географічних умовах, – підсумовує Красножон.
